Address 304 North Cardinal St. Dorchester Center, MA 02124
Work Hours Monday to Friday: 7AM - 7PM Weekend: 10AM - 5PM
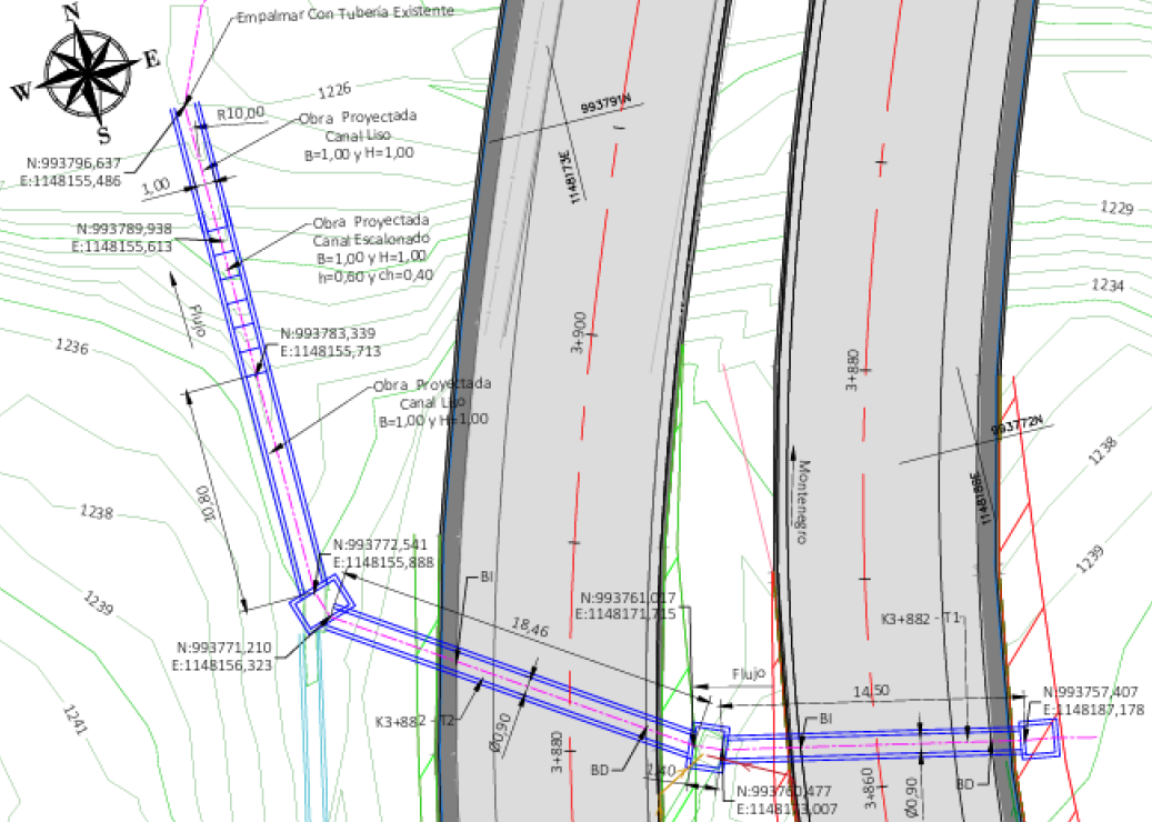
Infraestructura
Obras hidráulicas tramo 2 - Ruta El Espejo
El proyecto tiene como propósito garantizar la estabilidad y funcionalidad de las obras de infraestructura asociadas a la segunda calzada Montenegro – Quimbaya, mediante el diseño estructural de los elementos que conforman el corredor vial.
Para el desarrollo del componente estructural se recopiló y analizó la información disponible sobre geotecnia, materiales, condiciones de carga y geometría del proyecto, con el fin de establecer los parámetros de diseño más representativos.
Normas aplicables
Código colombiano de diseño de puentes CCP-14.
Reglamento colombiano de construcción sismo resistente NSR-10.
💬¿Necesitas ayuda? Chatea con nosotros
👋 ¡Hola! Gracias por contactar a FORJA DESIGN SOLUTIONS SAS. ¿Quieres cotizar, revisar planos o resolver una duda técnica? Te leemos.